Nilüfer  Tel.  
0 224 413 26 64
  BURSA ve TÜM İLÇELERİNE
Osmangazi Tel.
0 224 254 66 88                  HİZMET VERMEKTEYİZ    
Gsm 0 533 716 86 23
  7/24   BURSA AK İLAÇLAMA..





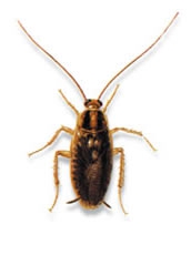
Kalorifer Böceği


BURSA AK İLAÇLAMA

                       Kalorifer Böceği

( BLATELLAGERMENİCA )

        Kalorifer böceği olarak da bilinen bu böcek açık kahverenginde ve ön göğüs bölgesinde iki koyu bant taşırlar.10-12 mm boyundadır.Çok koyla bir yerden bir yere geçebilir veya taşınabilirler.Bu haşere türü yumurta yöntemiyle ürer ve çoğalır.Hamamböcekleri içinde yumurta bulunan kapsüller halinde ürerler.

Her bir kapsül içinde 35-40 adet yumurta bulunur.
Bu böcekler yumurtalarını sırtlarında taşıyarakgittikleri her yere yumurtalarını götürürler.18 gün sonra yavrular yumurtalarda çıkar.Yıl içerisinde 8-10 defa yumurtlayabilirler.
        Kalorifer böceği ilaçlamalarında dişi hamamböcekleri öldükleri anda bile yumurta bırakırlar. Bu hamamböceği türü bulunduğu alandaki her şeyi yiyebilir.Kalorifer böceği her türlü pisliği,mikrobu taşırlar ve bulaştırırlar.Evlerde ilk yerleşecekleri mekanlar mutfak ve banyolardır.Karanlığı severler bu nedenle geceleri ortaya çıkarlar.Nemli,sıcak ve pis yerlerden hoşlanırlar.Kazan dairesi,depo bodrum altı gibi yerlerde yoğun olarak bulunurlar.Genellikle gıda yerlerinde görülürler.Bu böcekler gıda zehirlenmeleri,verem,hepatit,mantar hastalıkları gibi çeşitli hastalıkların mikroplarını taşırlar ve bulaştırırlar.
Kalorifer böceğinden kurtulmak için, profesyonel ve sağlık bakanlığı ruhsatlı ilaçlama şirketlerinden, kalorifer böceği ilaçlama talebinde bulunmanız gereklidir. Bursa Ak ilaçlama şirketimiz, kalorifer böceği ilaçlamalarında ve tüm hamam böceği türlerinin ilaçlanmasında kaliteli ilaçları ile üst düzey başarı sağlamaktadır. Kalorifer böceği ile mücadele için Bursa Ak İlaçlamayı günün her saati arayarak kalorifer böceği ilaçlaması talep edebilirsiniz.
       Bursa Ak İlaçlama firmamızın ilaçlama hizmeti verdiği alanlar; gemi ilaçlama | yuva ilaçlama | ev ilaçlama | cafe ilaçlama | yurt ilaçlama | dershane ilaçlama | ofis ilaçlama | şantiye ilaçlama | işyeri ilaçlama | dükkan ilaçlama | market ilaçlama | alışveriş merkezi ilaçlama | okul ilaçlama | camii ilaçlama | şirket ilaçlama | fabrika ilaçlama | site ilaçlama | Tarla ilaçlama | fırın ilaçlama | bahçe ilaçlama gibi bütün açık ve kapalı alanları ilaçlamaktadır.
İletişim İçin Lütfen ARAYINIZ.
Zararlı Böcekler

 

 

Kalorifer Böceği - Akilaclama.com, Dişi hamamböcekleri öldükleri anda bile yumurta bırakırlar. Bu hamamböceği türü bulunduğu alandaki her şeyi yiyebilir.Her türlü pisliği,mikrobu taşırlar ve bulaştırırlar.Evlerde ilk yerleşecekleri mekanlar mutfak ve banyolardır.Karanlığı severler bu nedenle geceleri ortaya çıkarlar.Nemli,sıcak ve pis yerlerden hoşlanırlar.Kazan dairesi,depo bodrum altı gibi yerlerde yoğun olarak bulunurlar.Genellikle gıda yerlerinde görülürler.Bu böcekler gıda zehirlenmeleri,verem,hepatit,mantar hastalıkları gibi çeşitli hastalıkların mikroplarını taşırlar ve bulaştırırlar., alman, hamam, böceği, ilaçlaması, kalorifer, ev, ilaçlama, |, cafe, ilaçlamakolorifer, bursa, da